home remedies: ಅಡುಗೆ ಮನೆಯಲ್ಲಿ ಕೆಲಸ ಜಾಸ್ತಿ..ಹೀಗಾಗಿ ಸ್ವಚ್ಛತೆ ಬಗ್ಗೆಯೂ ಕಾಳಜಿ ವಹಿಸಬೇಕು. ಅಡಿಗೆ ವಸ್ತುಗಳನ್ನು ಜವಾಬ್ದಾರಿಯುತವಾಗಿ ಬಳಸುವುದು, ಅವು ಹಾನಿಯಾಗದಂತೆ ಮತ್ತು ಕೀಟಗಳಿಂದ ಮುಕ್ತವಾಗಿರುವುದನ್ನು ಖಚಿತಪಡಿಸಿಕೊಳ್ಳುವುದು ಮುಖ್ಯವಾಗಿದೆ.
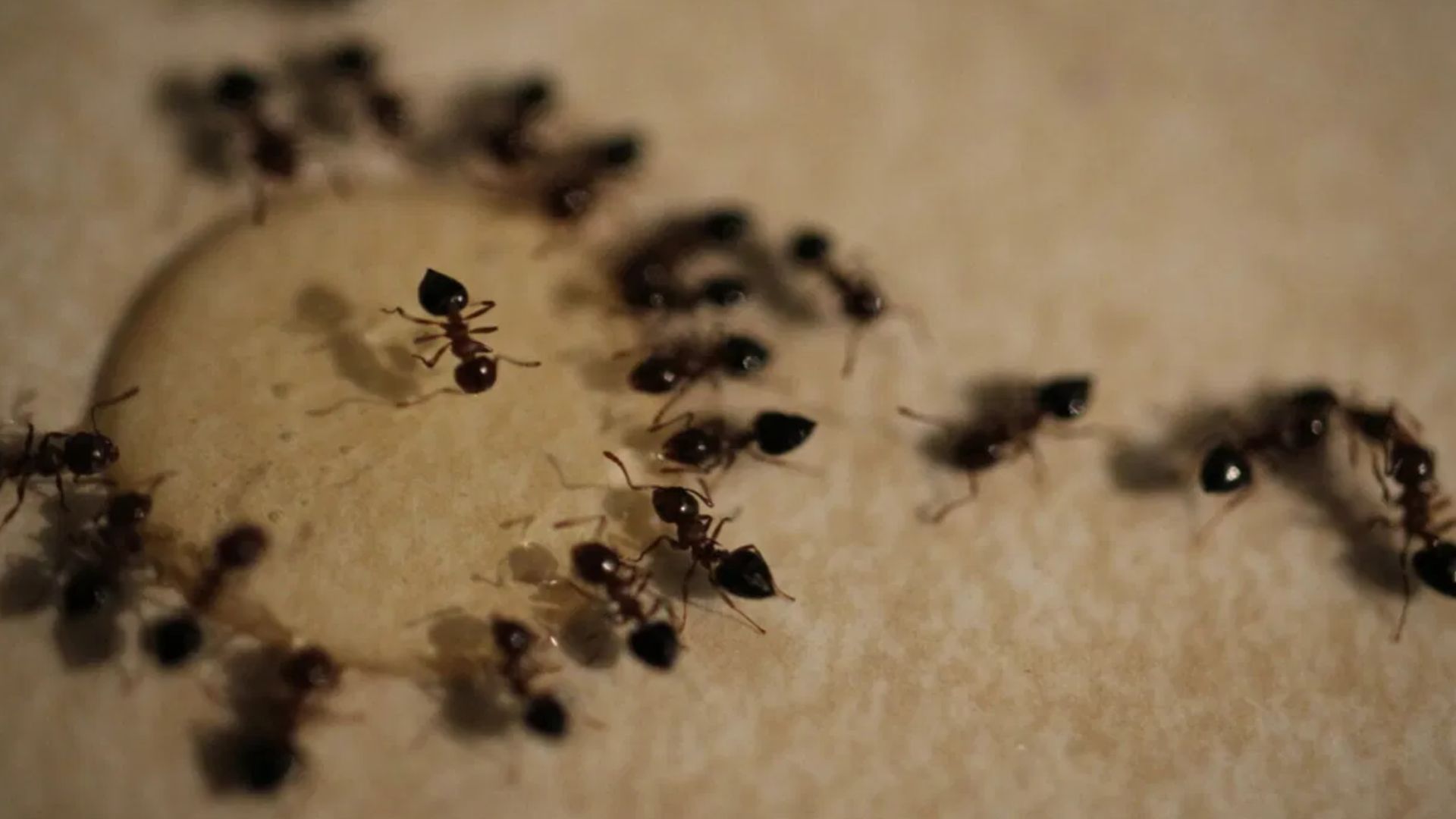
ಈ ಅಡುಗೆ ಮನೆಯೂ ಇರುವೆಗಳಿಗೆ ನೆಚ್ಚಿನ ಸ್ಥಳವಾಗಿದೆ.. ಅದರಲ್ಲೂ ಮನೆಯಲ್ಲಿ ಸಕ್ಕರೆ ಡಬ್ಬ, ಶುಂಠಿ ಡಬ್ಬ ಇದ್ದರೆ ಆಗಾಗ ಇರುವೆಗಳು ಸಿಕ್ಕಿಕೊಳ್ಳುತ್ತವೆ. ಎಷ್ಟೇ ಎತ್ತರದಲ್ಲಿ ಇಟ್ಟರೂ, ಮುಚ್ಚಳ ಬಿಗಿಯಿದ್ದರೂ ಆ ಪೆಟ್ಟಿಗೆಗಳಿಗೆ ಈ ಇರುವೆಗಳು ನುಗ್ಗಿರುತ್ತವೆ.. ಇರುವೆಗಳನ್ನು ಓಡಿಸಿ ಸ್ಥಳ ಬದಲಾಯಿಸಿದರೂ ಮರುದಿನ ಬೆಳಗ್ಗೆ ಇರುವೆಗಳು ರಾಶಿ ರಾಶಿಯಾಗಿ ಸೇರುತ್ತವೆ. ಇದು ಕೆಲವೊಮ್ಮೆ ಕಿರಿಕಿರಿಯನ್ನು ಉಂಟುಮಾಡುತ್ತದೆ. ಸಕ್ಕರೆಯನ್ನು ಬಳಸುವ ಮೊದಲು, ಇರುವೆಗಳನ್ನು ತೊಡೆದುಹಾಕುವುದು ದೊಡ್ಡ ಕೆಲಸವಾಗುತ್ತದೆ. ಹಾಗಾದರೆ ಮನೆಯಲ್ಲಿ ಇರುವೆಗಳನ್ನು ತಡೆಯುವುದು ಹೇಗೆ? ಎಂಬುದು ಇಲ್ಲಿದೆ.
ಇದನ್ನೂ ಓದಿ-ಕ್ಯಾಮರಾ ನೋಡಿದ ತಕ್ಷಣ ಜಯಾ ಬಚ್ಚನ್ ಯಾಕೆ ಕೋಪಗೊಳ್ಳುತ್ತಾರೆ? ಬಹು ವರ್ಷಗಳ ನಂತರ ಬಯಲಾಯ್ತು ದೊಡ್ಡ ಸತ್ಯ!!
ಚಾಕ್ ಪೀಸ್: ಹೌದು ಶಾಲೆಯಲ್ಲಿ ಕಪ್ಪು ಹಲಗೆಯ ಮೇಲೆ ಬರೆಯುವ ಈ ಚಾಕ್ ಪೀಸ್ ನಿಮ್ಮ ಮನೆಯಲ್ಲಿ ಇರುವೆಗಳ ಸಮಸ್ಯೆಯನ್ನು ಪರಿಹರಿಸುತ್ತದೆ. ಈ ಸೀಮೆಸುಣ್ಣದ ತುಂಡು ಇರುವೆಗಳಿಗೆ ವಿಷಕಾರಿಯಾದ ಕ್ಯಾಲ್ಸಿಯಂ ಕಾರ್ಬೋನೇಟ್ ಅನ್ನು ಹೊಂದಿರುತ್ತದೆ. ಅದಕ್ಕೇ ಸಕ್ಕರೆ ಡಬ್ಬ ಇರುವ ಕಡೆ ಅಥವಾ ಇರುವೆ ಬರುವ ಕಡೆ ಗೆರೆ ಎಳೆದರೆ ಇರುವೆಗಳ ಕಾಟ ತಪ್ಪುತ್ತದೆ.
ನಿಂಬೆ ರಸ: ಇರುವೆಗಳಿಗೆ ನಿಂಬೆ ರಸದ ವಾಸನೆ ಕೂಡ ಆಗಿಬರುವುದಿಲ್ಲ. ಇರುವೆಗಳ ಗೂಡಿನಲ್ಲಿ ಅಥವಾ ಅವು ಪದೇ ಪದೇ ಇರುವಲ್ಲಿ ಈ ನಿಂಬೆಹಣ್ಣಿನ ಸಿಪ್ಪೆ ತೆಗೆದು ನಿಂಬೆ ರಸವನ್ನು ಸ್ಪ್ರೇ ಬಾಟಲಿಯಲ್ಲಿ ಹಾಕಿ ಸಿಂಪಡಿಸಿದರೆ ಇರುವೆಗಳ ಸಮಸ್ಯೆ ಕಡಿಮೆಯಾಗುತ್ತದೆ.
ಇದನ್ನೂ ಓದಿ-ʼಈಗಲೂ ನನಗೆ ಭಯವಾಗುತ್ತಿದೆ'.. ಕೆಜಿಎಫ್ ನಟಿ ಸೆನ್ಸೇಷನಲ್ ಕಾಮೆಂಟ್!!
ಅರಿಶಿನ ಮತ್ತು ಕರಿಮೆಣಸು: ಇರುವೆಗಳ ಸಮಸ್ಯೆಗೆ ಅರಿಶಿನ ಮತ್ತು ಕರಿಮೆಣಸು ಕೂಡ ಉತ್ತಮ ಪರಿಹಾರವನ್ನು ನೀಡುತ್ತದೆ. ಇದಕ್ಕಾಗಿ ಮೊದಲು ಒಂದು ಬಟ್ಟಲಿನಲ್ಲಿ ಒಂದು ಚಮಚ ಅರಿಶಿನ ಮತ್ತು ಸ್ವಲ್ಪ ಕರಿಮೆಣಸು ಸೇರಿಸಿ ಚೆನ್ನಾಗಿ ಕುದಿಸಿ. ಈ ಮಿಶ್ರಣವು ತಣ್ಣಗಾದ ನಂತರ, ಅದನ್ನು ಸ್ಪ್ರೇ ಬಾಟಲಿಯಲ್ಲಿ ಸುರಿದು ಅಡುಗೆಮನೆಯ ಎಲ್ಲಾ ಮೂಲೆಗಳಲ್ಲಿ ಅದನ್ನು ಸಿಂಪಡಿಸಿ. ಈ ರೀತಿ ಮಾಡುವುದರಿಂದ ಇರುವೆಗಳು ಬರದಂತೆ ತಡೆಯಬಹುದು.
ಪುದೀನಾ: ನಿಮ್ಮ ಮನೆಯಲ್ಲಿ ಪುದೀನ ಗಿಡಗಳಿದ್ದರೆ.. ಇರುವೆಗಳು ಬರುವ ಅಡುಗೆ ಕೋಣೆಯಲ್ಲಿ ಈ ಎಲೆಗಳನ್ನು ಹಾಕಿದರೆ ಅದರ ವಾಸನೆ ಇರುವೆಗಳು ಅಡುಗೆ ಕೋಣೆಗೆ ಬರದಂತೆ ತಡೆಯುತ್ತದೆ. ಇಲ್ಲವೇ.. ಸ್ವಲ್ಪ ಪುದೀನಾ ಎಲೆಗಳನ್ನು ನೀರಿಗೆ ಹಾಕಿ ಚೆನ್ನಾಗಿ ಕುದಿಸಿ. ನೀರು ತಣ್ಣಗಾದ ನಂತರ ಸ್ಪ್ರೇ ಬಾಟಲಿಯಲ್ಲಿ ಸುರಿದು ಇರುವೆ ಇರುವೆಗಳ ಮೇಲೆ ಸಿಂಪಡಿಸಿ.
ಕನ್ನಡ ಭಾಷೆಯಲ್ಲಿ ಇತ್ತೀಚಿನ ಕರ್ನಾಟಕ, ದೇಶ, ವಿದೇಶ, ಮನರಂಜನೆ, ಶಿಕ್ಷಣ, ಉದ್ಯೋಗ, ಆರೋಗ್ಯ, ಜೀವನಶೈಲಿ, ಆಧ್ಯಾತ್ಮ, ಕ್ರೀಡೆ, ಕ್ರೈಂ, ವೈರಲ್, ವ್ಯಾಪಾರ, ತಂತ್ರಜ್ಞಾನ ಸುದ್ದಿಗಳನ್ನು ಓದಲು ಈಗಲೇ ನಮ್ಮ ಜೀ ಕನ್ನಡ ನ್ಯೂಸ್ ಮೊಬೈಲ್ ಅಪ್ಲಿಕೇಶನ್ ಡೌನ್ಲೋಡ್ ಮಾಡಿ...
Android Link - https://bit.ly/3AClgDd
Apple Link - https://apple.co/3wPoNgr
ನಮ್ಮ ಸೋಶಿಯಲ್ ಮೀಡಿಯಾ ಪುಟಗಳಿಗೆ ಸಬ್ ಸ್ಕ್ರೈಬ್ ಆಗಲು
Twitter Link - https://bit.ly/3n6d2R8
Facebook Link - https://bit.ly/3Hhqmcj
Youtube Link - https://www.youtube.com/live/RNn4I7iIaYE?si=3G4W5dh0oCdFnu-T
Instagram Link - https://bit.ly/3LyfY2l
Sharechat Link - https://bit.ly/3LCjokI
Threads Link- https://www.threads.net/@zeekannadanews
WhatsApp Channel- bit.ly/46lENGm ಲಿಂಕ್ ಗಳ ಮೇಲೆ ಕ್ಲಿಕ್ ಮಾಡಿ.









